No more Greek letters: Here’s what will happen when we run out of hurricane names this time
There will soon be only one name left on the 2021 hurricane list, with two months to go. So what happens if we have more than one additional storm? After last year’s salad of Greek names, there’s a new plan this year, with new names.
There will soon be only one name left on the 2021 hurricane list, with two months to go. So what happens if we have more than one additional storm? After last year’s salad of Greek names, there’s a new plan this year, with new names.
Hurricane Sam: Category 4 storm likely to bring rough surf to East Coast
Sam, still a Category 4 hurricane, is set to avoid any direct impact to the U.S. but is expected to bring big waves to the East Coast by the weekend.
Sam, still a Category 4 hurricane, is set to avoid any direct impact to the U.S. but is expected to bring big waves to the East Coast by the weekend.
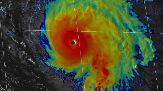
Hurricane Sam sustains Category 4 storm status over Atlantic
Sam maintained its powerful Category 4 hurricane status into Tuesday afternoon with maximum sustained winds of 130 mph, according to the National Hurricane Center.
Sam maintained its powerful Category 4 hurricane status into Tuesday afternoon with maximum sustained winds of 130 mph, according to the National Hurricane Center.
Sam downgraded to Category 3 hurricane in Atlantic
Hurricane Sam remained a powerful Category 3 storm in the Atlantic Ocean on Monday, but was centered well offshore from land.
Hurricane Sam remained a powerful Category 3 storm in the Atlantic Ocean on Monday, but was centered well offshore from land.
Hurricane Sam, a Category 4 storm, could fluctuate in strength this week
Hurricane Sam is a Category 4 storm, but forecasters say the system could fluctuate in strength over the next day or so.
Hurricane Sam is a Category 4 storm, but forecasters say the system could fluctuate in strength over the next day or so.
Hurricane Sam now a Category 4 storm; Teresa dwindling
Far from land, Hurricane Sam strengthened into a Category 4 hurricane in the Atlantic Ocean on Saturday.
Far from land, Hurricane Sam strengthened into a Category 4 hurricane in the Atlantic Ocean on Saturday.
Leftover showers continue to move through region before clearing overnight
Sunshine will return on Friday with highs only expected to peak in the low-70s. Temperatures will stay mild with low humidity over the weekend with plenty of sunshine.
Sunshine will return on Friday with highs only expected to peak in the low-70s. Temperatures will stay mild with low humidity over the weekend with plenty of sunshine.
Family rescued from flooded car in Caln Township during heavy downpours
A mother, her two children and their dog needed to be rescued from a car when heavy downpours caused floodwaters to overcome a street in Chester County.
A mother, her two children and their dog needed to be rescued from a car when heavy downpours caused floodwaters to overcome a street in Chester County.
Weeks after damage from Ida, Montgomery County braces for more flooding, severe weather
Over 200 homes sustained damage in the village of Mont Clare when the Schuylkill River, swollen by Ida’s heavy rain, rose to 18 inches inside some homes.
Over 200 homes sustained damage in the village of Mont Clare when the Schuylkill River, swollen by Ida’s heavy rain, rose to 18 inches inside some homes.
Weeks after damage from Ida, Montgomery County brace for more severe weather
Over 200 homes sustained damage in the village of Mont Clare when the Schuylkill River, swollen by Ida?s heavy rain, rose to 18 inches inside some homes.
Over 200 homes sustained damage in the village of Mont Clare when the Schuylkill River, swollen by Ida?s heavy rain, rose to 18 inches inside some homes.
Nicholas prompts flash flood watches across central Gulf Coast as storm lingers
Nicholas became a post-tropical cyclone on Thursday, hovering over the central Gulf Coast and bringing the threat of heavy rain and flooding.
Nicholas became a post-tropical cyclone on Thursday, hovering over the central Gulf Coast and bringing the threat of heavy rain and flooding.
Ida recovery slow for Montgomery County renters
Montgomery County renters face a slow recovery progress as they wait for landlords to greenlight contractors and workers.
Montgomery County renters face a slow recovery progress as they wait for landlords to greenlight contractors and workers.
Recovery from Ida is slow for Montgomery County renters
Montgomery County renters wait for contractors and workers to fix their homes damaged during Ida
Montgomery County renters wait for contractors and workers to fix their homes damaged during Ida
Tropical Depression Nicholas takes aim at hurricane-battered Louisiana
Tropical Depression Nicholas threatened the U.S. Gulf Coast with heavy rain and flooding as it moved over Louisiana on Wednesday.
Tropical Depression Nicholas threatened the U.S. Gulf Coast with heavy rain and flooding as it moved over Louisiana on Wednesday.
Nicholas downgraded to tropical depression, continuing to move slowly east into Louisiana
Nicholas has been downgraded to tropical depression as it continues crawling toward Louisiana after battering Southeast Texas with gusty winds and torrential rain.
Nicholas has been downgraded to tropical depression as it continues crawling toward Louisiana after battering Southeast Texas with gusty winds and torrential rain.
ISS captures lightning illuminating Nebraska sky from space
NASA released stunning video of a lightning storm over the Midwest recorded by the International Space Station.
NASA released stunning video of a lightning storm over the Midwest recorded by the International Space Station.
Nicholas weakens to tropical depression, dumps rain, brings flood threat to Gulf Coast
Tropical Storm Nicholas has weakened to a tropical depression as it slowed to a crawl over southeastern Texas and southwestern Louisiana as its heavy rains continued to drench the area, maintaining a flood threat.
Tropical Storm Nicholas has weakened to a tropical depression as it slowed to a crawl over southeastern Texas and southwestern Louisiana as its heavy rains continued to drench the area, maintaining a flood threat.
Nicholas upgraded to hurricane as it heads for Texas Gulf Coast
The National Hurricane Center in Miami says Nicholas has strengthened to a Category 1 hurricane ahead of its expected landfall in Texas.
The National Hurricane Center in Miami says Nicholas has strengthened to a Category 1 hurricane ahead of its expected landfall in Texas.
Biden approves major disaster declaration in Pennsylvania, New Jersey
President Biden has declared a major disaster in Pennsylvania and New Jersey due to heavy rains, severe flash flooding and tornadoes in the commonwealth from the remnants of Hurricane Ida.
President Biden has declared a major disaster in Pennsylvania and New Jersey due to heavy rains, severe flash flooding and tornadoes in the commonwealth from the remnants of Hurricane Ida.
Upper Providence Township residents continue to clean up after remnants of Ida hit area
Upper Providence Township in Montgomery County is battling to recover from the blow struck last week from the remnants of Hurricane Ida.
Upper Providence Township in Montgomery County is battling to recover from the blow struck last week from the remnants of Hurricane Ida.



















