11-year-old boy accused of killing 39-year-old relative in Louisiana
The boy was arrested Sept. 7 on a charge of second-degree murder, authorities said.
The boy was arrested Sept. 7 on a charge of second-degree murder, authorities said.
Operation Blue Roof revived to help with Hurricane Laura recovery
The Operation Blue Roof program is currently active in Allen, Beauregard, Calcasieu, Cameron, Jefferson Davis, and Vernon parishes.
The Operation Blue Roof program is currently active in Allen, Beauregard, Calcasieu, Cameron, Jefferson Davis, and Vernon parishes.
Baton-twirling 8-year-old starts practice early to become college drum major
An 8-year-old aspiring drum major was spotted honing his skills in Baton Rouge, Louisiana, on August 30.
An 8-year-old aspiring drum major was spotted honing his skills in Baton Rouge, Louisiana, on August 30.
Residents worry about help in aftermath of Hurricane Laura
So far 18 deaths in Texas and Louisiana have been attributed to the storm; more than half of those people were killed by carbon monoxide poisoning from the unsafe operation of generators.
So far 18 deaths in Texas and Louisiana have been attributed to the storm; more than half of those people were killed by carbon monoxide poisoning from the unsafe operation of generators.
Hurricane Laura topples Louisiana Confederate monument weeks after officials voted to keep it
The Calcasieu Parish Police Jury had voted just weeks prior to leave the South’s Defenders Monument on the grounds of the courthouse.
The Calcasieu Parish Police Jury had voted just weeks prior to leave the South’s Defenders Monument on the grounds of the courthouse.
'Glass falling everywhere': Video, images show damage in the aftermath of Hurricane Laura
Laura pounded the Gulf Coast with heavy wind and torrential rain, unleashing a wall of seawater on cities in its path.
Laura pounded the Gulf Coast with heavy wind and torrential rain, unleashing a wall of seawater on cities in its path.
4 deaths caused by falling trees in Louisiana during Hurricane Laura
The governor of Louisiana says four people, including a 14-year-old girl and an 68-year-old man, were killed by falling trees as Hurricane Laura moved through the state.
The governor of Louisiana says four people, including a 14-year-old girl and an 68-year-old man, were killed by falling trees as Hurricane Laura moved through the state.
Chemical fire billows near Lake Charles in Hurricane Laura’s wake
A fire at a Louisiana chlorine plant erupted with thick, billowing smoke Thursday after Hurricane Laura plowed through part of the country’s petrochemical corridor with storm surges and fierce wind, forcing residents around the plant to shelter in their homes.
A fire at a Louisiana chlorine plant erupted with thick, billowing smoke Thursday after Hurricane Laura plowed through part of the country’s petrochemical corridor with storm surges and fierce wind, forcing residents around the plant to shelter in their homes.
Louisiana sheriff to residents: ‘Write your name... and next of kin and put it in a ziploc bag in your pocket’
The Vermilion Parish Sheriff’s Office issued a mandatory evacuation and grim warning to residents choosing to ride out Hurricane Laura rather than evacuate.
The Vermilion Parish Sheriff’s Office issued a mandatory evacuation and grim warning to residents choosing to ride out Hurricane Laura rather than evacuate.
Dual disasters: Incredible satellite imagery captures Hurricane Laura, wildfires in California from space
Video from NOAA’s satellite Instagram account showed hurricane clouds and dust plumes on Aug. 25 as taken from the GOES-West satellite.
Video from NOAA’s satellite Instagram account showed hurricane clouds and dust plumes on Aug. 25 as taken from the GOES-West satellite.
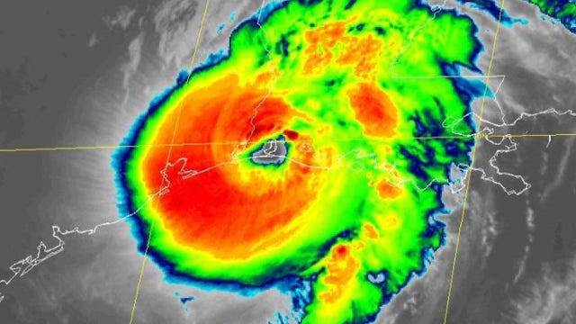
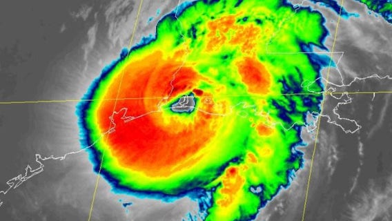
Hurricane Laura, now Category 4, may bring 'unsurvivable' storm surge to Texas-Louisiana border
Storm surge from Laura could reach up to 30 miles inland, say forecasters
Storm surge from Laura could reach up to 30 miles inland, say forecasters
Kanye West files to appear on ballot in Louisiana
Rapper Kanye West has filed paperwork just ahead of the deadline to appear on the presidential ballot in Louisiana in November.
Rapper Kanye West has filed paperwork just ahead of the deadline to appear on the presidential ballot in Louisiana in November.
Louisiana woman nearly hit by lightning strike debris, says 'God was definitely with us'
'One step closer and I would have been seriously injured,' Sarah Ribardi said
'One step closer and I would have been seriously injured,' Sarah Ribardi said
Restaurant patrons, workers join in singing 'Amazing Grace' to Louisiana man dying of brain tumor
A man dying of a brain tumor in Louisiana was honored in his favorite restaurant by employees, friends, and family, who sang him ‘Amazing Grace’ on Sunday, July 26.
A man dying of a brain tumor in Louisiana was honored in his favorite restaurant by employees, friends, and family, who sang him ‘Amazing Grace’ on Sunday, July 26.
Dollar General workers lock in convicted sex offender wanted for murder in Louisiana
Workers at a Dollar General store recognized a convicted sex offender accused of killing two teenagers and kidnapping a third — and locked him in after quietly escorting other customers out.
Workers at a Dollar General store recognized a convicted sex offender accused of killing two teenagers and kidnapping a third — and locked him in after quietly escorting other customers out.
NFL’s Michael Thomas donates to non-profit group to help clear medical debt for New Orleans residents
Michael Thomas, a wide receiver for the New Orleans Saints, has partnered with the non-profit RIP Medical Debt to clear over $2 million in past due medical debts for over 1,000 Louisiana residents.
Michael Thomas, a wide receiver for the New Orleans Saints, has partnered with the non-profit RIP Medical Debt to clear over $2 million in past due medical debts for over 1,000 Louisiana residents.
‘Completely missed the mark’: Drew Brees apologizes for comments on kneeling during national anthem
The New Orleans Saints quarterback said his comments "lacked awareness and any type of compassion or empathy."
The New Orleans Saints quarterback said his comments "lacked awareness and any type of compassion or empathy."
Louisiana cop fired for suggesting it was 'unfortunate' coronavirus hadn't killed more black people: report
A Louisiana police department apologized and one of its officers was fired over a Facebook comment suggesting he thought it was “unfortunate” more black people have not died from the coronavirus.
A Louisiana police department apologized and one of its officers was fired over a Facebook comment suggesting he thought it was “unfortunate” more black people have not died from the coronavirus.
‘I died and came back’: 12-year-old recovers from virus
As her desperately sick daughter was being airlifted to a hospital, Jennifer Daly was thinking about all the parts of life that still lay ahead for her 12-year-old and whether she’d ever experience them: Would she get to fall in love? Would she get the chance to get married and have her own children?
As her desperately sick daughter was being airlifted to a hospital, Jennifer Daly was thinking about all the parts of life that still lay ahead for her 12-year-old and whether she’d ever experience them: Would she get to fall in love? Would she get the chance to get married and have her own children?
Pastor defies house arrest, holds church with 100 congregants in spite of stay-at-home order
Louisiana pastor Tony Spell defied house arrest on Sunday and held a church service with more than 100 congregants present.
Louisiana pastor Tony Spell defied house arrest on Sunday and held a church service with more than 100 congregants present.



















