Weather Authority: Tuesday 9 a.m. update
FOX 29's Sue Serio has the latest weather updates.
Weather Authority: Tuesday 7 a.m. update
FOX 29's Sue Serio has the latest weather updates.
Weather Authority: Monday 10 p.m. update
FOX 29's Kathy Orr has the 7-day forecast.
Weather Authority: Monday 6 p.m. update
FOX 29's Kathy Orr has the 7-day forecast.
Sam downgraded to Category 3 hurricane in Atlantic
Hurricane Sam remained a powerful Category 3 storm in the Atlantic Ocean on Monday, but was centered well offshore from land.
Weather Authority: Monday 7 a.m. forecast
FOX 29's Sue Serio has the latest weather forecast.
Weather Authority: 10 p.m. Sunday forecast
FOX 29's Kathy Orr says Sunday will feel more like summer than fall, but temperatures will be dropping as the week goes on.
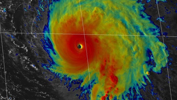
Hurricane Sam, a Category 4 storm, could fluctuate in strength this week
Hurricane Sam is a Category 4 storm, but forecasters say the system could fluctuate in strength over the next day or so.
Weather Authority: Sunday 8 a.m. update
FOX 29's Scott Williams has the latest weather updates.
Hurricane Sam now a Category 4 storm; Teresa dwindling
Far from land, Hurricane Sam strengthened into a Category 4 hurricane in the Atlantic Ocean on Saturday.
Weather Authority: Beautiful first weekend of Fall forecasted for Delaware Valley
Sunshine and mild conditions on both Saturday and Sunday will create a pleasant first weekend of fall.
Weather Authority: Saturday 8 a.m. update
FOX 29's Scott Williams has the latest weather updates.
Weather Authority: Friday 10 p.m. update
FOX 29's Scott Williams has the 7-day forecast.
Weather Authority: Friday 6 p.m. update
FOX 29's Scott Williams has the forecast.
Sunny, nice weather expected into next week as first fall cold front exits Delaware Valley
The crisp autumn air has arrived just in time for the first official weekend of fall.
Weather Authority: Friday, 6 a.m. update
FOX 29's Sue Serio has your Friday forecast.
Leftover showers continue to move through region before clearing overnight
Sunshine will return on Friday with highs only expected to peak in the low-70s. Temperatures will stay mild with low humidity over the weekend with plenty of sunshine.
Family rescued from flooded car in Caln Township during heavy downpours
A mother, her two children and their dog needed to be rescued from a car when heavy downpours caused floodwaters to overcome a street in Chester County.
Weather Authority: Thursday 10 p.m. update
FOX 29's Scott Williams has the forecast.
Weeks after damage from Ida, Montgomery County braces for more flooding, severe weather
Over 200 homes sustained damage in the village of Mont Clare when the Schuylkill River, swollen by Ida’s heavy rain, rose to 18 inches inside some homes.



















